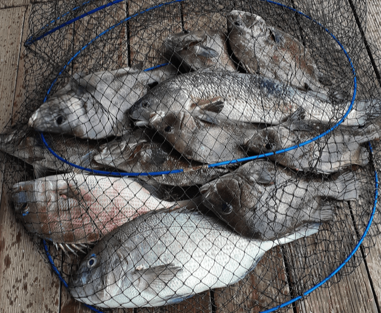
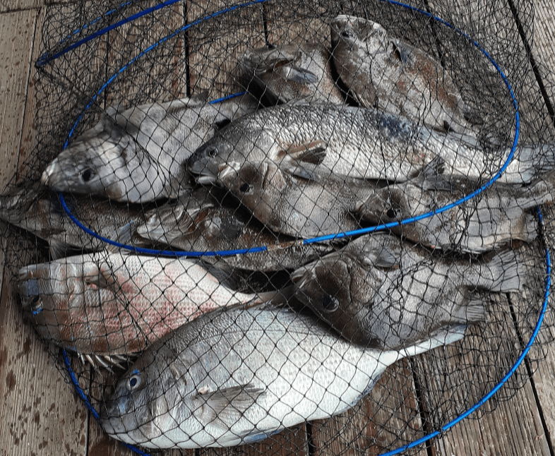
경기도 서울권에서 그나마 가까운 만정 바다낚시터를 소개합니다. 만정 바다낚시터에는 계절에 맞는 물고기를 호지에 방류하고 낚아 올리는 가두리 낚시터입니다. 고급어종으로 분류되는 자바리, 감성돔, 참돔, 돗돔 등이 잡히며 크기 또한 기본적으로 마트에서 사 먹는 크기보다 훨씬 크기 때문에 손맛이 좋고 바로 회를 떠먹으면 정말 신선합니다.

소개
만정 바다낚시터는 바닷물을 모아 놓고 바닷물 위에서 낚시를 즐길 수 있는 좌대 낚시터와 방갈로에서 즐길 수 있는 호지 낚시터 두 곳으로 나누어집니다. 좌대낚시는 손맛을 조금 더 느낄 수 있으며 호지는 낚시하는 느낌을 더 받을 수 있습니다. 오늘 소개할 곳은 좌대낚시터를 소개해 봅니다.

안내
오시는 길
주소 인천시 중구 중산동 1853번지
안내전화 032-751-7774
입장
입장은 24시간 언제든지 가능하시고 한 타임(12시간) 짬 낚시(6시간) 시간에 맞게 이용해주시면 됩니다. 낚시 안 하는 일반 동행인 동반 입장은 가능하지만 너무 많은 동행인으로 인해서 주변 낚시하시는 이용객의 불편이 예상되면 입장이 제한될 수 있습니다.

요금
한 타임 12시간 기준 성인 7만 원, 초등학생 2만 원
짬 낚시 6시간 기준 주말, 공휴일 (전일 19:00 ~ 당일 14:00) 성인 5만 원, 초등학생 2만 원
짬 낚시 6시간 기준 평일 (일요일 14:00 ~ 금요일 19:00) 성인 4만 원, 초등학생 2만 원
*초등학생은 단독 입장이 안되며 보호자와 함께 입장이 가능합니다.
대여 가능한 낚싯대가 준비되어 있으며 대여료는 10,000원입니다.(바늘, 케미, 미끼 별도 구매)
낚싯대 사용기준
본인 낚싯대를 가져오는 경우 낚싯대의 총길이는 2m 넘지 않는 루어대만 이용이 가능하며 1인 1 낚싯대 찌낚시 외바늘 채비로 운용해주시면 됩니다. 곁낚시 교대 낚시 훌치기낚시를 금지하며 뜰채로 고기를 떠내는 행위를 절대 금지합니다.

방류어종
계절에 따라 수온이 달라서 방류되는 어종이 다르며 자바리, 혼바리, 민어, 광어, 우럭, 농어, 대 병어, 참돔, 병어돔, 동갈돗돔, 홍돔, 돌돔, 대돔, 점성어, 능성 어등이 방류됩니다.
방류시간
주간 월요일~금요일 2회 방류 1차 10:00시 2차 16:00시 토요일~일요일 3회 방류 1차 10:00시 2차 13:00시 3차 16:00시
야간 일요일~목요일 1회 방류 22:00시 금요일~토요일 2회 방류 1차 22:00시 2차 01:00시

미끼
사용 가능한 미끼 : 지렁이, 냉동새우, 생새우, 빙어, 미꾸라지, 혼 무시
사용불가 미끼 : 오징어, 고등어, 꼴뚜기, 루어, 웜, 냉동멸치, 집어제, 절임류, 과일 등
방갈로
총 55개의 방갈로가 있으며 선착순으로 비어있는 곳 이용이 가능합니다. 이용하시고 퇴실할 때는 이용하신 방갈로를 깨끗하게 정리하여 주시면 다음 이용하시는 이용객이 쾌적하게 이용하실 수 있고 다음번엔 나도 깨끗한 방갈로를 이용하실 수 있습니다. 하계시즌에는 에어컨 이용 시 이용요금은 20,000원이며 키 보증금 10,000원 별도로 키 반납하실 때 돌려 드립니다.

취사
방갈로 및 곳곳에 배치되어 있는 테이블에서 취사가 가능합니다. 숯 이용은 안되며 가스버너만 이용이 가능합니다. 테이블은 공공으로 사용하기 때문에 이용하시고 바로 깨끗이 치워주시면 다음 이용객이 쾌적하게 이용하실 수 있습니다.
편의시설
사무실에서 기본적인 음료(탄산음료, 물, 맥주 등)와 스낵류(과자, 컵라면 등)를 판매하고 있으며 호지 중간 카페에서 커피와 간단한 간식거리인 핫도그와 닭강정을 판매하고 있습니다. 사무실 옆쪽에는 잡은 고기를 손질하고 회를 떠주는 횟칸이 있어서 회는 키로에 5,000원 손질은 4,000원에 이용이 가능합니다. 본인이 직접 손질하실 수 있는 손질 공간도 따로 마련되어 있습니다.
'국내여행' 카테고리의 다른 글
| 일산 서구 대화동 작은 쉼터 대화농업체험공원 (0) | 2021.10.13 |
|---|---|
| 무의도 하나개해수욕장 갯뻘놀이 모래놀이 물놀이 (0) | 2021.10.12 |
| 파주 심학산 약천사는 지금 가을앓이 시작입니다 (0) | 2021.10.07 |
| 파주 코스모스 만발했어요 조금 있으면 못봐요 (0) | 2021.10.05 |
| 포천 천보산 자연휴양림 힐링포인트 예약은 필수 (0) | 2021.10.01 |
댓글